At 62 years old, a fish nicknamed “Mary Catherine” was swimming through Lake Superior during some big events. The lake trout (Salvelinus namaycush) was born when President John F. Kennedy was in office, when the “gales of November came early” sinking the SS Edmund Fitzgerald, and lived through 15 Summer Olympics. Mary Catherine is believed to be the oldest-known specimen of her species ever caught in the Great Lakes.
A team from the Michigan Department of Natural Resources (DNR) caught the trout in Klondike Reef towards Lake Superior’s southeastern side in the fall of 2023. At just under five pounds and about two-feet-long, the specimen wouldn’t have won any fishing tournaments, but her age made her stand out.
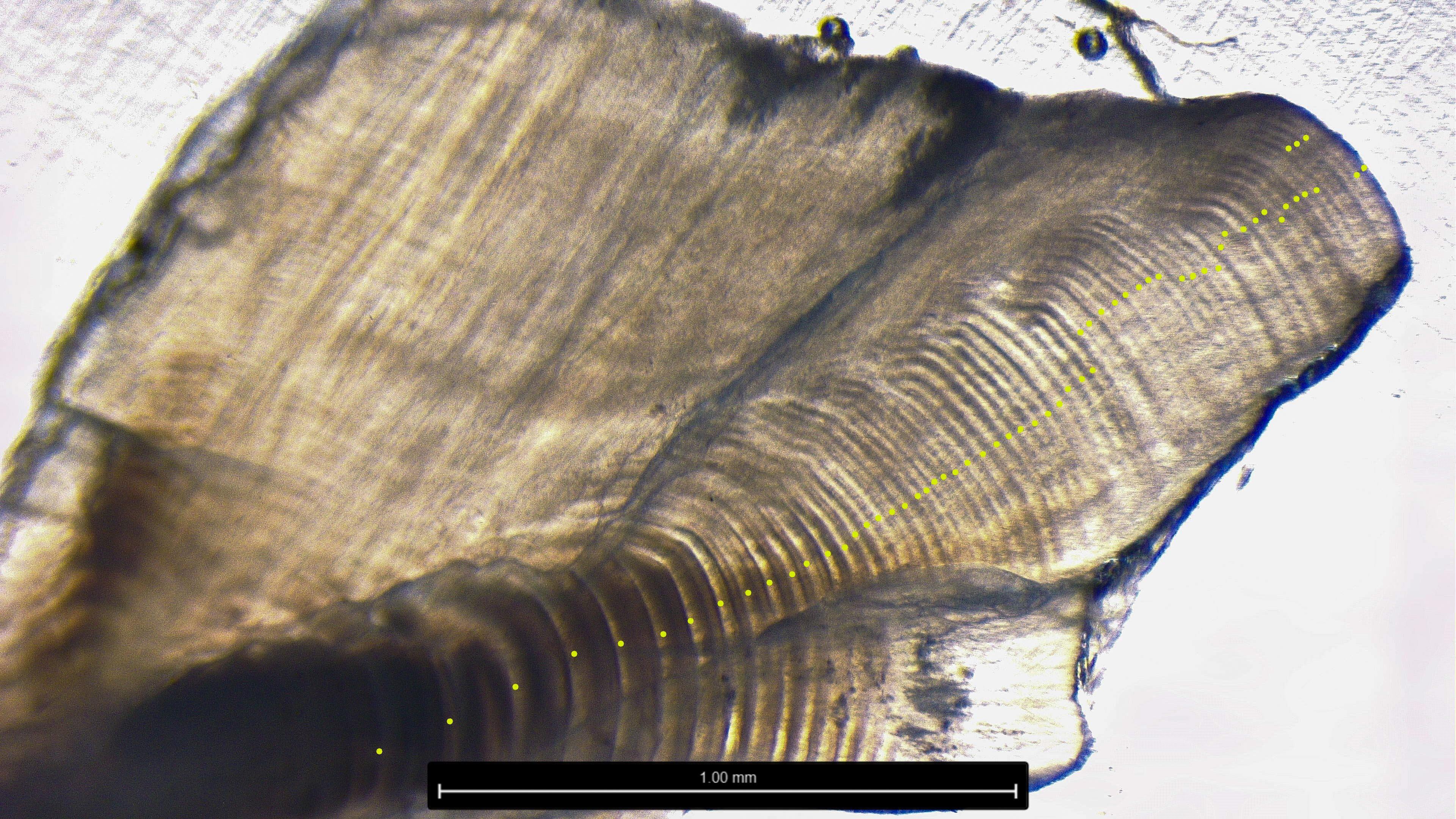
Determining the age of a fish is similar to how we determine the age of a tree. Scientists use a structure inside the ear called the otolith, or ear stone. The ear stone grows throughout the years of a fish’s life, so scientists can count the rings to identify its age.

“Otoliths are used to assess the age of many other species of fish,” the Michigan DNR wrote in a social media post. “They tend to be used for long-lived fishes such as lake trout, lake whitefish and cisco, whereas for shorter lived fishes, fin spines and scales are used to count annual rings for species such as walleye, yellow perch, steelhead, and salmon.”
From time to time, they take fish specimens in order to track population health. According to the Michigan DNR, finding such an old fish indicates that the lake trout in Lake Superior are doing okay. Lake trout are adapted to live in “unproductive ecosystems,” which gives them the opportunity to have a slow and steady approach to life and live long. They don’t have to hatch, migrate, spawn, and die all in only a few years the way that other fish like salmon do.

Mary Catherine is a humper lake trout, a subspecies of trout that is usually found in offshore lake mounts in Lake Superior. Lake Superior’s average annual surface temperature of 40 degrees Fahrenheit and depth of 483 feet makes it a low productivity ecosystem. Mary Catherine living such a long life in those conditions is a good sign for lake trout living in the largest of the Great Lakes and their ability to adapt.
Lake trout in Lake Superior are believed to live about 25 to 30 years. The Michigan DNR says that the oldest trout reported in Lake Superior was estimated to be about 42 years old. The name “Mary Catherine” is an homage to her birth year. Mary was the most popular name for baby girls in 1961, followed by Lisa, Susan, Linda, and Karen.